Niezależne forum mieszkańców Kwidzyna i nie tylko :-)

Strefa czasowa: UTC + 1




Utwórz nowy wątek Ten wątek jest zablokowany. Nie możesz w nim pisać ani edytować postów.  [ Posty: 2612 ]  Przejdź na stronę Poprzednia strona  1 ... 32, 33, 34, 35, 36, 37, 38 ... 175  Następna strona
Autor Wiadomość
 Tytuł: Re: Budowa mostu koło Kwidzyna w ciągu DK90
PostNapisane: 29 lipca 2011, o 20:12 
Offline

Dołączył(a): 14 grudnia 2009, o 19:12
Posty: 236
Lokalizacja: Kwidzyn
Płeć: Mężczyzna
Droga z Korzeniewa w kierunku Lipianek zostaje poszerzona:)


Góra
 Zobacz profil  
 
 Tytuł: Re: Budowa mostu koło Kwidzyna w ciągu DK90
PostNapisane: 29 lipca 2011, o 21:56 
Offline
Avatar użytkownika

Dołączył(a): 3 lutego 2011, o 23:28
Posty: 248
Płeć: Nie wybrano
Rave84 napisał(a):
Droga z Korzeniewa w kierunku Lipianek zostaje poszerzona:)



Na 4 pasmową :D

_________________
Strzyziujr


Góra
 Zobacz profil Wyślij e-mail  
 
 Tytuł: Re: Budowa mostu koło Kwidzyna w ciągu DK90
PostNapisane: 31 lipca 2011, o 00:36 
Offline
Avatar użytkownika

Dołączył(a): 22 października 2010, o 15:27
Posty: 251
Lokalizacja: Obserwator
Płeć: Mężczyzna
Rave84 napisał(a):
Droga z Korzeniewa w kierunku Lipianek zostaje poszerzona:)

Wygląda na to ,że tak,bo są wykonywane wykopy u podstawy wału w celu poszerzenia drogi.W miejscach,gdzie nie ma wykopów są wyraźne ślady,że podczas mijanek,ciężkie samochody uszkadzają podstawę wału. :573:


Góra
 Zobacz profil  
 
 Tytuł: Re: Budowa mostu koło Kwidzyna w ciągu DK90
PostNapisane: 31 lipca 2011, o 14:43 
Offline

Dołączył(a): 24 marca 2008, o 23:43
Posty: 100
Lokalizacja: Kwidzyn
Płeć: Mężczyzna
zdjęcia z piątku, nie było czasu by je wstawić ;)


Załączniki:
P7290649.JPG
P7290649.JPG [ 80.16 KiB | Przeglądane 105072 razy ]
P7290648.JPG
P7290648.JPG [ 76.36 KiB | Przeglądane 105072 razy ]
P7290647.JPG
P7290647.JPG [ 91.42 KiB | Przeglądane 105072 razy ]
P7290646.JPG
P7290646.JPG [ 78.87 KiB | Przeglądane 105072 razy ]
P7290642.JPG
P7290642.JPG [ 88.13 KiB | Przeglądane 105072 razy ]
P7290641.JPG
P7290641.JPG [ 123.3 KiB | Przeglądane 105072 razy ]
P7290640.JPG
P7290640.JPG [ 106.87 KiB | Przeglądane 105072 razy ]
P7290639.JPG
P7290639.JPG [ 101.52 KiB | Przeglądane 105072 razy ]
P7290638.JPG
P7290638.JPG [ 80.7 KiB | Przeglądane 105072 razy ]
P7290637.JPG
P7290637.JPG [ 83.04 KiB | Przeglądane 105072 razy ]
P7290636.JPG
P7290636.JPG [ 100.73 KiB | Przeglądane 105072 razy ]
P7290635.JPG
P7290635.JPG [ 132.89 KiB | Przeglądane 105072 razy ]
P7290634.JPG
P7290634.JPG [ 94.91 KiB | Przeglądane 105072 razy ]
P7290632.JPG
P7290632.JPG [ 97.47 KiB | Przeglądane 105072 razy ]
P7290629.JPG
P7290629.JPG [ 82.6 KiB | Przeglądane 105072 razy ]
P7290626.JPG
P7290626.JPG [ 120.31 KiB | Przeglądane 105072 razy ]
P7290625.JPG
P7290625.JPG [ 152.71 KiB | Przeglądane 105072 razy ]
P7290624.JPG
P7290624.JPG [ 114.7 KiB | Przeglądane 105072 razy ]
P7290621.JPG
P7290621.JPG [ 88.31 KiB | Przeglądane 105072 razy ]
Góra
 Zobacz profil Wyślij e-mail  
 
 Tytuł: Re: Budowa mostu koło Kwidzyna w ciągu DK90
PostNapisane: 31 lipca 2011, o 17:21 
Offline
Avatar użytkownika

Dołączył(a): 1 czerwca 2007, o 08:11
Posty: 1128
Lokalizacja: kwidzyn
Płeć: Mężczyzna
Amator48 napisał(a):
Rave84 napisał(a):
Droga z Korzeniewa w kierunku Lipianek zostaje poszerzona:)

Wygląda na to ,że tak,bo są wykonywane wykopy u podstawy wału w celu poszerzenia drogi.W miejscach,gdzie nie ma wykopów są wyraźne ślady,że podczas mijanek,ciężkie samochody uszkadzają podstawę wału. :573:



I tak się właśnie dzieje z tym ,że wykopy są tylko pod kruszywo , które będzie na poszerzeniu drogi . Sam wał będzie zabezpieczony przed najeżdżaniem .

_________________
Żyjemy w czasach, w których tylko głupców traktuje się poważnie.

— Oscar Wilde


Góra
 Zobacz profil  
 
 Tytuł: Re: Budowa mostu koło Kwidzyna w ciągu DK90
PostNapisane: 31 lipca 2011, o 17:35 
Offline
Avatar użytkownika

Dołączył(a): 3 lutego 2011, o 23:28
Posty: 248
Płeć: Nie wybrano
Ten objazd łukiem wpisze się na stałe w krajobraz? A może, to tylko tymczasowe rozwiązanie? :D

_________________
Strzyziujr


Góra
 Zobacz profil Wyślij e-mail  
 
 Tytuł: Re: Budowa mostu koło Kwidzyna w ciągu DK90
PostNapisane: 31 lipca 2011, o 20:56 
Offline

Dołączył(a): 6 listopada 2008, o 13:13
Posty: 155
Lokalizacja: Kwidzyn
Płeć: Mężczyzna
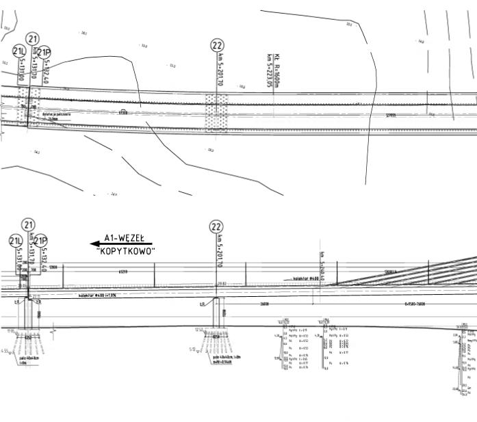
Według projektu wykonawczego droga ma przebiegać tak, jak przed budową - nie będzie więc tego ostrego łuku, który jest zapewne rozwiązaniem tymczasowym. Docelowa podpora mostu ma być w miejscu, nad którym jest "haczyk" dźwigu z napisem "HYDROS" na zdjęciu P7290634.JPG powyżej. Pozostałe 3, które znajdują się w pobliżu są tymczasowe i zostaną rozebrane.
Dolna krawędź mostu będzie na wysokości "podstawek" widocznych na zdjęciu P7290625.JPG, więc zostanie trochę miejsca na swobodny przejazd pod mostem.


Góra
 Zobacz profil Wyślij e-mail  
 
 Tytuł: Re: Budowa mostu koło Kwidzyna w ciągu DK90
PostNapisane: 31 lipca 2011, o 23:27 
Offline
Avatar użytkownika

Dołączył(a): 3 lutego 2011, o 23:28
Posty: 248
Płeć: Nie wybrano
Yyyy jedna podpora na tak długi odcinek :?:

_________________
Strzyziujr


Góra
 Zobacz profil Wyślij e-mail  
 
 Tytuł: Re: Budowa mostu koło Kwidzyna w ciągu DK90
PostNapisane: 1 sierpnia 2011, o 07:41 
Offline

Dołączył(a): 6 listopada 2008, o 13:13
Posty: 155
Lokalizacja: Kwidzyn
Płeć: Mężczyzna
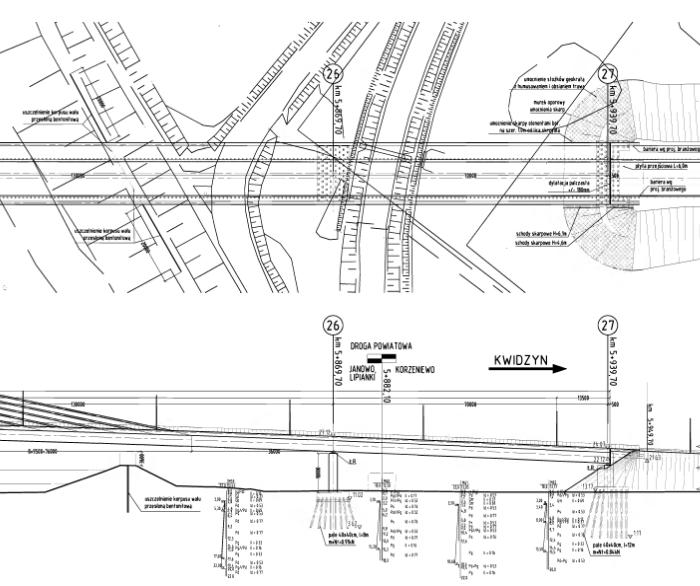
Rysunki z projektu wykonawczego:

Załącznik:
most0.jpg
most0.jpg [ 14.08 KiB | Przeglądane 104910 razy ]


Załącznik:
most1.jpg
most1.jpg [ 46.29 KiB | Przeglądane 104910 razy ]


Załącznik:
most2.jpg
most2.jpg [ 50.9 KiB | Przeglądane 104910 razy ]


Załącznik:
most3.jpg
most3.jpg [ 47.66 KiB | Przeglądane 104910 razy ]


Załącznik:
most4.jpg
most4.jpg [ 52.56 KiB | Przeglądane 104910 razy ]


Załącznik:
most5.jpg
most5.jpg [ 67.99 KiB | Przeglądane 104910 razy ]


I od nadzoru:

Załącznik:
most.jpg
most.jpg [ 27.85 KiB | Przeglądane 104905 razy ]


Góra
 Zobacz profil Wyślij e-mail  
 
 Tytuł: Re: Budowa mostu koło Kwidzyna w ciągu DK90
PostNapisane: 1 sierpnia 2011, o 10:17 
Offline
Avatar użytkownika

Dołączył(a): 3 lutego 2011, o 23:28
Posty: 248
Płeć: Nie wybrano
Dzięki Paweł... rozwiałeś moje wątpliwości :D

Na rysunkach widać, że dodatkowe podpory nie będą potrzebne, bo część konstrukcji estakady zleje się z konstrukcją mostu i zostanie podwieszona jakoś tuż nad wałem w Lipiankach.
Nasyp dojazdowy do estakady od strony wschodniej właściwie będzie znajdował się już kilkadziesiąt metrów od wału...
Z rysunku "most5" jednak wynika, że teren przy wale jest raczej równy, więc ciekaw jestem jak blisko obecnego poziomu gruntu poprowadzą drogę, aż do przeprawy mostowej przez Liwę...

_________________
Strzyziujr


Góra
 Zobacz profil Wyślij e-mail  
 
 Tytuł: Re: Budowa mostu koło Kwidzyna w ciągu DK90
PostNapisane: 1 sierpnia 2011, o 15:07 
Offline

Dołączył(a): 6 listopada 2008, o 13:13
Posty: 155
Lokalizacja: Kwidzyn
Płeć: Mężczyzna
Strzyziujr napisał(a):
Z rysunku "most5" jednak wynika, że teren przy wale jest raczej równy, więc ciekaw jestem jak blisko obecnego poziomu gruntu poprowadzą drogę, aż do przeprawy mostowej przez Liwę...


Nie wiem, czy dokładnie o to miejsce Ci chodzi - ale dolna krawędź mostu będzie położona bezpośrednio na tym niebieskim stalowym ustrojstwie, które powstaje.


Góra
 Zobacz profil Wyślij e-mail  
 
 Tytuł: Re: Budowa mostu koło Kwidzyna w ciągu DK90
PostNapisane: 1 sierpnia 2011, o 16:43 
Offline
Avatar użytkownika

Dołączył(a): 3 lutego 2011, o 23:28
Posty: 248
Płeć: Nie wybrano
Miałem na myśli raczej, że to "niebieskie ustrojstwo" będzie pochylone nieco... od strony mostu wyżej, a od strony planowanego nasypu niżej... Wynika z tego, że droga dojazdowa na estakadę i dalej na most będzie przynajmniej tuż przy wale poprowadzona na nasypie... Moje pytanie: czy cała droga dojazdowa do mostu od przeprawy na Liwie będzie podniesiona na nasypie?

_________________
Strzyziujr


Góra
 Zobacz profil Wyślij e-mail  
 
 Tytuł: Re: Budowa mostu koło Kwidzyna w ciągu DK90
PostNapisane: 1 sierpnia 2011, o 23:38 
Offline

Dołączył(a): 6 listopada 2008, o 13:13
Posty: 155
Lokalizacja: Kwidzyn
Płeć: Mężczyzna
Z tej strony będzie nasyp, ale będzie łagodnie schodził do obecnego poziomu gruntu, także tylko kilkaset metrów.


Góra
 Zobacz profil Wyślij e-mail  
 
 Tytuł: Re: Budowa mostu koło Kwidzyna w ciągu DK90
PostNapisane: 2 sierpnia 2011, o 10:16 
Offline
Avatar użytkownika

Dołączył(a): 3 lutego 2011, o 23:28
Posty: 248
Płeć: Nie wybrano
Dzięki Paweł :D

Czy poziom Wisły nadal się podnosi? Jak to się ma do prowadzonych prac budowlanych?

_________________
Strzyziujr


Góra
 Zobacz profil Wyślij e-mail  
 
 Tytuł: Re: Budowa mostu koło Kwidzyna w ciągu DK90
PostNapisane: 3 sierpnia 2011, o 12:42 
Offline
Przyjaciel forum
Avatar użytkownika

Dołączył(a): 29 marca 2006, o 12:48
Posty: 13876
Lokalizacja: Kwidzyn
Płeć: Mężczyzna
Panoramka zrobiona dziś przed południem: http://www.panoramy.drosik.net/panorama_lipianki.html

_________________
Obrazek


Góra
 Zobacz profil Wyślij e-mail  
 
Wyświetl posty nie starsze niż:  Sortuj wg  
Utwórz nowy wątek Ten wątek jest zablokowany. Nie możesz w nim pisać ani edytować postów.  [ Posty: 2612 ]  Przejdź na stronę Poprzednia strona  1 ... 32, 33, 34, 35, 36, 37, 38 ... 175  Następna strona

Strefa czasowa: UTC + 1


Kto przegląda forum

Użytkownicy przeglądający ten dział: Brak zidentyfikowanych użytkowników i 1 gość


Nie możesz rozpoczynać nowych wątków
Nie możesz odpowiadać w wątkach
Nie możesz edytować swoich postów
Nie możesz usuwać swoich postów
Nie możesz dodawać załączników

Szukaj:
Skocz do:  


-->

Forum e-kwidzyn jest własnością Stowarzyszenia Promocji Medialnej e-Kwidzyn. Publikowane komentarze są prywatnymi opiniami użytkowników Forum. Właściciel Forum nie ponosi odpowiedzialności za ich treść. Jeżeli którykolwiek z postów na forum łamie dobre obyczaje, zgłoś post do moderacji.